PROJET - PARC NATURA LUB - A2 MESSAGERIE
CHEMIN DE LA VOGUETTE
CAVAILLON, 84300
120 € / m²
- Surface5 868 m²
- DisponibilitéNous consulter
- Description
- Prestations & Services
- DPE
- Localisation et Transports
- Plans
- Brochure
- Consultant
- Nous contacter
Description
Entrepôt messagerie à louer ou à vendre,
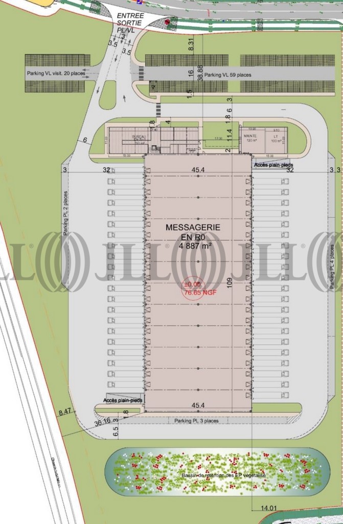
Dans le cadre du parc Natura Lub, au coeur du Lubéron, JLL vous propose un développement d'entrepôt messagerie double face de 5 768 m² dont 4 890 m² de halle à la location ou à la vente en VEFA.
Situé à Cavaillon (Vaucluse 84), le site est à 5 minutes de l'entrée/sortie de l'A7, sur la dorsale logistique.
Le bâtiment cross docks sera équipé de 42 portes à quai et de deux accès plain pied.
Le projet prévoit une hauteur libre de 6,50 m et une dalle capable de supporter 2T/m².
Le site offrira 79 places de parkings VL et 9 parkings PL.
Pour plus d'informations sur sa disponibilité, veuillez nous contacter. Les informations sur les risques auxquels ce bien est exposé sont disponibles sur le site Géorisques : www.georisques.gouv.fr.
- Zone AFR
Surface disponible
DPE
Diagnostic en cours de réalisation
Localisation et Transports
Consultant

Mathieu Terzian
Détails de l'agent





